
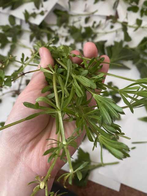
С этим сорняком беспощадную борьбу ведет большинство людей, которые имеют свою дачу или огород.
Научное название этого сорняка – пидмареннык цепкий.
Он очень живучий, плодовитый и активно покрывает всю территорию дачи, угнетая полезные растения.
Но мало кто знает о том, что этот сорняк является еще и лекарственным растением! Он – буквально кладезь полезных веществ и целебных свойств!
Об этом сообщают в Днепропетровском областном эколого-натуралистическом центре:
«Готові запросити добровольців на прополку підмаренника чіпкого!
А якщо серйозно - вивчаймо природу, щоб правильно використовувати ресурси, які буквально під ногами.
Тільки не кажіть, що ніколи не зустрічали цю «липучку».
А ось можете сказати, що вважали непрохідним бурʼяном, не знаючи, що це лікарська рослина!
Підмаренник звичайний (справжній або чіпкий) - це лікарська рослина з сечогінною, протизапальною, кровоспинною та заспокійливою дією. Дія мʼягка та не сильна.
Використовується для очищення лімфи, лікування хвороб нирок, шкіри (екзема, псоріаз, рани), ревматизму та хвороб шлунково-кишкового тракту.
Містить в собі магній, кальцій, калій, залізо, мідь, марганець, цинк, молібден, хром, нікель, ванадій, талій, титан, вітамін С, каротин, реннін, лимонна кислота, еллагова кислота, галова кислота”.
![]() |
Gorod`ской дозор |
![]() |
Фоторепортажи и галереи |
![]() |
Видео |
![]() |
Интервью |
![]() |
Блоги |
| Новости компаний | |
| Сообщить новость! | |
![]() |
Погода |
| Архив новостей | |